E6 Ranheim-Værnes

Construsoftbimawards - E6 Ranheim-Værnes
Kategória Infrastrukturális projektek
Év 2022
Ország Spain
Szervezet ACCIONA Ingeniería
Projektpartnerek ACCIONA Ingeniería, ACCIONA Construcción, Ramboll, Nye Veier COWI, Statens Vegvesen
Szerző Alberto Justo Cangas, Jesús Espinós Andrés, Borja Balbastre Camarena
Ügyfél Nye Veier
Az építmény helye Noruega
Tags
La carretera de Ranheim a Værnes.
El proyecto consiste en la mejora de un tramo de 23 kilómetros entre Ranheim y Værnes de la autopista E6, el cual se pretende ampliar de dos a cuatro carriles con la finalidad de mejorar el flujo de tráfico reduciendo significativamente la necesidad de desvíos y mejorando la seguridad de los usuarios. Esta nueva infraestructura tiene como objetivo mejorar la conexión de la zona norte del condado de Trøndelag, situado en el centro de Noruega. La ruta, que incluye tres túneles varios pasos a nivel seguirá en gran medida el camino antiguo, a excepción de los túneles, que discurrirán paralelos a los actuales.
De las múltiples estructuras que conforman el proyecto nos centraremos en:
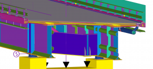
● Viaductos de Hommelvik: Se trata de dos puentes mixtos bijácena de 240 metros de longitud constituidos principalmente por dos vigas metálicas longitudinales, diafragmas transverasles y cierre inferior del circuito de torsión mediante triangulaciones metálicas, sobre las que apoya el tablero de hormigón armado de 15 metros de ancho. Las estructuras disponen de cinco ejes: dos estribos y tres pilas rectangulares de hormigón armado cimentadas mediante zapatas rectangulares.
● Boquilla Stavsjøfjell dirección sur: La entrada del túnel sur consiste en una estructura monolítica de hormigón in situ de 60 metros de largo. Los primeros 40,50 metros se basan en un tramo de bóveda constante de 0,60 metros de espesor que va ensanchándose hasta alcanzar una geometría en forma de trompeta.
● Boquilla Stavsjøfjell dirección norte: La entrada del túnel norte consiste en una estructura monolítica de hormigón in situ de 31,5 metros de largo. Los primeros 2 metros se basan en una sección de bóveda constante de 0,40 metros de espesor que va ensanchándose hasta lograr una geometría en forma de trompeta cortada por una superficie inclinada.
Los datos más significativos que se pueden encontrar en el modelo se observan a continuación:
● +15300 m3 de hormigón armado
● +1760 Tn de acero estructural
● +2250 Tn de acero de refuerzo con +150.000 barras
● +6000 Soldaduras
● +650 Grupos de pernos
● +23000 Objetos de Tekla
Métodos y herramientas
Se ha implementado un diseño integrado basado en modelos con un enfoque especial en soluciones de valor agregado y opciones de diseño para una transferencia de datos eficiente con fines de construcción y operación. Esto se ha logrado a través de una estrecha colaboración entre el equipo de ACCIONA Ingeniería con los diferentes grupos de interés involucrados en el proceso de diseño, revisión, aprobación y construcción. Todo contra un modelo rico en datos desde donde los equipos pueden revisar y extraer información.
Las estructuras de viaductos y boquillas de túnel no son lineales y se definen a través de geometrías muy variables en los ejes x, y, z. Para la definición de los elementos estructurales hemos utilizado una combinación entre diseño paramétrico en Rhinoceros/Grasshopper y Tekla Structures. El diseño paramétrico se utiliza para incorporar los criterios de diseño y los parámetros de cálculo y para generar geometrías como polilíneas, puntos y mallas. Estas geometrías se transfieren a Tekla Structure como objetos nativos de Tekla, como losas, muros, vigas de acero, conexiones, etc. con todas sus propiedades y características.
Esto nos permite desarrollar aún más el modelo con todas las funcionalidades de Tekla y trabajar con objetos estructurales que se pueden utilizar para la generación de dibujos, cálculo de cantidades, exportación IFC, etc.
A continuación, se describen los principales métodos implementados para cada tipología estructural:
Viaductos:
● El tablero de hormigón, su armado y la estructura metálica de acero se han creado mediante diseño paramétrico a través de Grasshopper. Posteriormente, éstos datos se han transferido a Tekla para su uso posterior.
● Los estribos, pilares, cabeceros y cimentaciones, incluyendo todo su armado, se han realizado directamente modelando en Tekla, donde también se han creado varios componentes personalizados.
Boquillas de túneles:
● Se han creado tanto las geometrías de hormigón como las armaduras mediante diseño paramétrico, permitiendo generar múltiples alternativas de diseño con todas las diferentes variables y variaciones de ancho y longitud. En este caso, Grasshopper ha sido el software utilizado para el diseño paramétrico, a partir del cual se han transferido los datos geométricos a Tekla.
● El armado de la cimentación y la barrera se han realizado directamente en Tekla.
Además de los detalles gráficos, la información también es clave para garantizar que se capturen los datos correctos durante el proceso de diseño para compartirlos en la construcción y operación. Se identificó e implementó un conjunto completo de atributos en todos los objetos del modelo, incluidos datos del proyecto, datos estructurales, „código de proceso” y códigos de activos como Brutus y Coclass. Además, en cada una de las estructuras se ha colocado un cuadro de datos con información clave para una consulta más completa del modelo.
La E6 Ranheim-Værnes tiene especial énfasis en cómo construir una infraestructura segura y sostenible. Para ello, todos los riesgos relacionados con cada estructura se incluyen y destacan en el modelo para facilitar la identificación y comunicación de riesgos a los equipos.
Colaboración
Desarrollar este tipo de estructuras que se basan en la geometría y las aportaciones de otras disciplinas, como la alineación de carreteras, el diseño de seguridad vial, la geotecnia, el drenaje y el túnel, requiere una forma eficiente de intercambiar información y una estrecha coordinación y colaboración entre las diferentes partes.
Trimble Quadri se ha implementado en el proyecto E6 Ranheim-Værnes como el principal entorno de coordinación para la federación modelo y la coordinación interdisciplinaria.
Internamente dentro del equipo de Ingeniería de ACCIONA también implementamos Trimble Connect como punto focal para el intercambio de información entre los equipos de estructura, modelado, dibujo y coordinación de proyectos. Todas las referencias externas necesarias se encuentran en Trimble Connect con hasta 10 Gb de datos compartidos.
Se han exportado los modelos en formato de archivo IFC desde Tekla Structures a Trimble Connect de forma regular para la coordinación y revisión de los equipos, donde una vez listos, éstos se han transferido a Trimble Quadri.
La colaboración de modelos se ha gestionado a través de Tekla Model Sharing, lo que garantiza la colaboración en vivo entre los diferentes miembros del equipo.
Los beneficios de usar BIM y Tekla
La implementación de herramientas, métodos y procesos BIM permitió que la información digital se convirtiera en una clave para la toma de decisiones, la colaboración, la coordinación, el intercambio de datos entre equipos y la transferencia de activos. La integración de BIM en las actividades de diseño y sus resultados para las actividades de construcción y los proveedores/fabricantes respalda la entrega del proyecto y proporciona un legado de información gráfica y no gráfica al mismo tiempo que impulsa la eficiencia durante el ciclo de vida del proyecto.
Con el uso de herramientas más eficientes con herramientas de diseño paramétrico y Tekla Structures, mejoramos la forma en que colaboramos y nos comunicamos y aceleramos el proceso de revisión y aprobación. Se han implementado procesos de revisión de condiciones de diseño y construcción y flujos de trabajo de detección de conflictos que permiten la identificación temprana de restricciones de diseño entre disciplinas.
A continuación, describiremos dos ejemplos principales de los beneficios del uso de la metodología BIM y Tekla Structures:
● La estructua mixta bijácena de la que constan los viaductos (hormigón y acero) realmente desafió a nuestro equipo en las fases iniciales del diseño y también en el proceso de modelado. El uso de herramientas de diseño paramétrico permite una opción más interactiva con múltiples soluciones para encontrar el diseño más eficiente. La parametrización proporciona una reacción más eficiente a los cambios y desafíos comunes que ocurren durante el proceso de diseño.
● Las estructuras de hormigón de los viaductos y portales requieren una alta densidad de armaduras que requieren ser fabricadas y colocadas en obra. Todas las barras de refuerzo constan de una numeración acorde a la fase de construcción para facilitar su fabricación. Además, las armaduras con geometrías complejas se identificaron correctamente en Tekla Structures y se modificaron en el administrador de gestión de formas de armaduras. Gracias a estos procesos, ACCIONA Ingeniería ha elaborado ficheros BBS y BVBS en coordinación con ACCIONA Construcción y sus proveedores/fabricantes para un intercambio de datos más eficiente desde el diseño hasta la construcción.
Principales agentes que utilizan el modelo
● ACCIONA Ingeniería: nativo Tekla Structures, herramientas de diseño paramétrico y exportación de ficheros IFC desde Tekla Structures
● Ramboll (Codiseñador y controlador de estructuras): Exportación de ficheros IFC desde Tekla Structures
● ACCIONA Construcción (Contratista): Exportación de ficheros IFC desde Tekla y fichero Tekla nativo
● COWI (Control de terceros): Exportación de ficheros IFC desde Tekla Structures
● Statens Vegvesen vegdirektoratet (Autoridades viales de Noruega): Exportación de ficheros IFC desde Tekla Structures
● Nye Veier (Propietario del proyecto): Exportación de ficheros IFC desde Tekla Structures
The road from Ranheim to Værnes.

The Ranheim to Værnes leg of the E6 highway is 23 km long. It will be expanded from two to four lanes to improve the flow of traffic reducing significantly the need for detours as well as improving customers safety. This new infrastructure is aimed at improving connectivity in the northern part of Trøndelag County, in central Norway.

The project consists of an upgrade of a 23-kilometre-section (between Ranheim to Værnes) of the E6 highway, including three tunnels and multiple structures.
The route follows the old road, with the exception of the tunnels, which will run parallel to the existing ones.

From the multiple structures that conform the project we will focus on:
● Hommelvik viaducts: The structures are 240-meter-long composite bridge girders composed of two welded longitudinal steel beams which support a 15-meter-wide deck. These bridges are based on five axes: two abutments and three rectangular concrete columns. Regarding the foundations, footings are used to transmit the bridge loads to the terrain.
● Portal Stavsjøfjell southbound: The structure consists of a 60 meter-long monolithic-in-situ-concrete structure. The first 40.50 meters are based on a constant 0.60-meter-thick vault section which starts to widen until achieves a trumpet-shaped geometry.
● Portal Stavsjøfjell northbound: The structure consists of a 31,5 meter-long monolithic-in-situ-concrete structure. The first 2 meters are based on a constant 0.40-meter-thick vault section which starts to widen until achieves a trumpet-shaped geometry cut by a sloping surface.

Main figures for these structures:
● +15300 m3 of structural concrete
● +1760 Tn of structural steel
● +2250 Tn of reinforcement steel with +150.000 rebars
● +6000 Welds
● +650 Bolt groups
● +23000 Tekla objects
Methods and tools
An integrated model-based design has been implemented in our way of working with special focus into design optioneering and added value solutions for an efficient data handover for construction and operation purposes. This has been achieved through a close collaboration between the ACCIONA Engineering team with the various stakeholder’s involved in the design, review, approval, and construction process. All against a data rich model from where teams can review and extract information.
The viaducts and portal structures are not lineal and are defined through very variable geometries in the x, y and z axis. We have used a combination between parametric design in Rhinoceros/Grasshopper and Tekla Structures for the definition of the structural elements. Parametric design is used to input the design criteria’s and calculations parameters and to generate geometries like polylines, points and meshes. These geometries are transferred into Tekla Structure as native Tekla objects such as slabs, walls, steel girders, connections, etc. with all its properties and characteristics. This allows us to further develop the model with all Tekla functionalities and work with structural objects that can be used for drawings generation, quantity take-off, IFC export, etc.
Following are described the main methods implemented for each structural type:
Viaducts:
● The concrete deck and its reinforcement plus the steel deck structure have been created first through parametric design including Grasshopper. Then, transferred into Tekla for further usage.
● The abutments, columns, pier caps and foundations including all its reinforcement have been done directly in Tekla with modelling tools and custom Tekla components.
Tunnel portals:
● Concrete structures and reinforcement have been created through parametric design allowing to generate multiple design alternatives with all the different variables and width and longitudinal variations. All the geometries of the tunnel portal and the reinforcement of the vault have been modeled through parametric tools including Grasshopper. Then, these geometries have been transferred into Tekla for further usage.
● The reinforcement of the foundations and the barrier have been done directly in Tekla.
In addition to graphical detail, information is also key in ensuring the right data is captured during the design process to be shared for construction and operation. A complete set of attributes was identified and implemented across al the model objects including project data, structural data, “processkode” and asset codes such as Brutus and Coclass. Also, an information box has been placed on each of the structures with key information for a more comprehensive data interrogation through the model.
The E6 Ranheim-Værnes has special emphasis in how to build a safe and sustainable infrastructure. For that purpose, all risk related to each structure are included and highlighted in the model to facilitate risk identification and communication to the teams.
Collaboration
Developing such kind of structures that are based on geometry and inputs from other disciplines such as road alignment, road safety design, geotechnics, drainage and tunnel, requires an efficient way for exchanging information and a close coordination and collaboration between the different parties.
Trimble Quadri has been implemented in the E6 Ranheim-Værnes project as the main coordination environment for model federation and inter-disciplinary coordination.
Internally within the ACCIONA Engineering team we also implemented Trimble Connect as the focal point for information exchange between structural, modelling, drafting and project coordination teams. All the external references needed are located in Trimble Connect with up to 10 Gb of cross-shared data.
IFC file formats exported from Tekla Structures into Trimble Connect on a regular basis for teams coordination and review. When ready, are transferred into Trimble Quadri.
Model collaboration has been managed through Tekla Model Sharing ensuring live collaboration between team members.
The benefits of using BIM and Tekla software
The implementation of BIM tools, methods and processes enabled digital information to become a key for decision-making, collaboration, coordination, data exchange across teams and asset handover. The integration of BIM into the design activities and its outputs for construction activities and supplier/manufacturers is supporting project delivery and providing legacy of graphical and non-graphical information while driving efficiencies during project lifecycle.
With the use of more efficient tools with parametric design tools and Tekla Structures, we improved the way we collaborate and communicate and accelerated the review and approval process. Design and built conditions review processes and clash detection workflows have been implemented allowing early identification of design constraints between disciplines.
Following we will outline two main examples of the benefits in using BIM methodology and Tekla Structures:
● The viaducts have a composite structure (concrete and steel) really challenged our team in the initial phases of the design and also in the modelling process. The use of parametric design tools allows a more interactive optioneering with multiple solutions to find the most efficient design. The parametrization provides a more efficient reaction to the common changes and challenges that occur during the design process.
● The concrete structures for the viaducts and portals require a high density of reinforcement that need to be manufactured and placed on site. All the rebars has been split into different numbering series depending on the construction phase in order to make its manufacturing easier. Moreover, rebars with complex geometries have been correctly identified in Tekla Structures and modified in the rebar shape manager. Thanks to these processes, BBS and BVBS files have been prepare by ACCIONA Engineering in coordination with the ACCIONA Construction and its suppliers/manufactures for a most efficient data exchange from design into construction.
Main stakeholder’s that use the model
● ACCIONA Engineering: native Tekla Structures, parametric design tools and IFC export files from Tekla Structures
● Ramboll (codesigner and structures controller): IFC export files from Tekla Structures
● ACCIONA Construction (Contractor): IFC export files from Tekla and native Tekla file
● COWI (3rd party control): IFC export files from Tekla Structures
● Statens Vegvesen vegdirektoratet (Norwegian road authorities): IFC export files from Tekla Structures
● Nye Veier (Project owner): IFC export files from Tekla Structures

Hagyja meg véleményét

0 Comments
Legújabb
Legrégebbi Legjobbra értékelt
Inline Feedbacks
View all comments